Italiano
299.925 €

Tribunale Gorizia - Ruolo 15/2025 - Lotto U - asta 24/03/2026

Terreno Agricolo in vendita • Romans d'Isonzo - Viale Palmanova
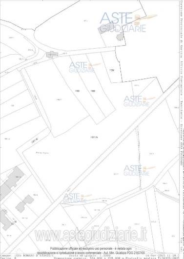
Terreni siti a Romans d’Isonzo (GO), fraz. Versa, viale Palmanova, adibiti alla coltivazione e produzione di uva da vino, impiegati a vigneti compresi in zona DOC Isonzo Friuli, sono presenti vitigni a bacca bianca delle seguenti qualità: Pinot Grigio con estensione di circa 2 ha e Glera con estensione di circa 1 ha e vitigno a bacca rossa qualità Pinot nero con estensione di circa 1 ha. L’impianto è del tipo Guyot, interasse prevalente su fila cm 90, interasse tra file cm 240, con impiego di pali in acciaio tipo Corten e tre fili orizzontali. L’impianto dei vigneti è avvenuto nell’anno 2021. La superficie catastale è di mq. 39.706, le particelle si trovano in zona pianeggiante. È presente la rete idrica di tipo consortile con pozzetti di presa. Un ulteriore appezzamento di catastali mq 945 è censito come seminativo irriguo. Il tutto è accessibile dalla strada comunale.

Caratteristiche principali
Codice
Tribunale Gorizia - Ruolo 15/2025 - Lotto U
Città/Comune
Romans d'Isonzo
Categoria
Terreno Agricolo
Prezzo
299.925 €
Locali
1
Mq
39706
Classe energetica
In fase di valutazione
Mappa
Viale Palmanova , Romans d'Isonzo (GO)
Richiedi informazioni
Invia
Condividi su
Cookie preference
whatsapp blogger rivista-digitale